
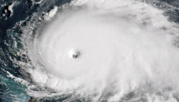
Stanovnici Louisiane i juga Teksasa pripremaju se u srijedu za nalet uragana Laura, koji se prerastao u kategoriju 4 na skali od 5 i meteorolozi ga smatraju "krajnje opasnim".
"Uz vjetrove koji pušu do 220 km/h uragan bi mogao izazvati smrtonosne poraste vodostaja, potencijalno katastrofalne, ekstremne vjetrove kao i iznenadne poplave", upozorio je Nacionalni centar za uragane u posljednjem javljanju. Laura bi kopno mogala zahvatiti u srijedu navečer.
"Uragan Laura je jako opasan i brzo jača. Slušajte lokalne dužnosnike. S vama smo", tvitao je predsjednik Donald Trump.
Uragan se u 19 sati po srednjoeuropskom vremenu nalazio 320 km južno od Lake Charlesa u Louisiani gdje se nalaze centri za preradu nafte kojima prijete poplave. Lokalni stanovnici su evakuirani.
Laura koja je u utorak bila na 845 km od Louisiane, donijela je snažne pljuskove i poplave na Haitiju i u Dominikanskoj Republici gdje je najmanje 24 ljudi izgubilo život. Na Kubi je prouzročila tek materijalnu štetu.
U utorak je u Meksičkom zaljevu puhala brzinom od 120 km/h, prije nego što je zaprijetila saveznim državama Teksasu i Louisiani
Američkoj obali prijeti, u manjoj mjeri, i Marco koji je u nedjelju navečer oslabio u oluju.
Iznimno se rijetko događa da dva uragana ili dvije slične meteorološke pojave dolaze tako blizu jedna drugoj u Meksičkom zaljevu, kažu stručnjaci.
Razdoblje uragana na Atlantiku koje službeno traje od 1. lipnja do 30. studenog ove godine bi moglo biti posebno burno. NHC očekuje 25 ciklona od kojih je Laura 12. a Marco 13.
(Vijesti.ba / Hina)
Chat čitatelja