
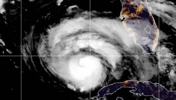
Uragan Ida, koji se jutros udaljavao od kubanske obale, približava se Louisiani, koju bi trebao pogoditi krajem nedjelje snagom "velikog i krajnje opasnog uragana".
"Stanovnici Louisiane imaju vremena do noći da se pripreme za uragan Idu", preporučio je guverner te južne države John Bel Edwards i upozorio na "teške posljedice".
"Ovo će biti najjači uragan koji je pogodio Louisianu još od 1850. Vaše vrijeme za bijeg se približava. Brzo se približava. I, kao što sam rekao jučer, kad večeras legnete u krevet, budite spremni i budite ondje gdje se kanite nositi s olujom u trenutku udara", poručio je guverner, piše Index.hr.
Vjetrovi snage tropske oluje između 60 i 120 km/h zapuhat će obalama Louisiane u subotu navečer, upozorila je nacionalna meteorološka služba i pozvala stanovnike koji se žele evakuirati da to učine "što prije".
Najveći dio oluje u subotu je prešao zapadom Kube, gdje će Ida i dalje donositi obline padaline, koje bi mogle izazvati poplave i klizišta, upozorio je Američki centar za uragane (NHC).
U nedjelju bi obale Louisiane i susjednog Mississippija mogle biti zahvaćene "poplavama zbog opasno jakih plima", upozorava centar, uz moguće "katastrofalne štete izazvane vjetrom".
Posljednje informacije NHC-a predviđaju da će Ida, prije nego što stigne do kopna, doseći kategoriju 4 od 5, uz vjetrove jače od 200 km/h.
(Vijesti.ba)
Chat čitatelja